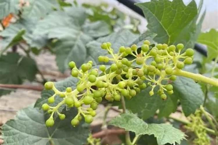
一、葡萄幼果落的利害怎么办
另外病害也是造成落果的主要原因。其 中霜霉病、炭疽病、白粉病、黑痘病等都会使果粒大量脱落。在发芽前后应喷施1:0.5:200的波尔多液,近期可喷施噻唑锌600-800倍液加6000倍液天然芸苔素“硕丰481”;也可喷施银法利加70%安泰生,对防治以上病害效果较好。
二、脐橙嫩芽被波尔多液烧坏是什么原因?
脐橙嫩芽被波尔多液烧坏,可以用以下叶面肥料进行追肥解救:1、植物动力2003 1000倍叶面喷雾,2、0.15%天然芸苔素乳油6000-10000倍叶面喷雾,3、科宝植物优生素1500-3000倍(移栽作物、药害和肥害、冻害、涝害、强根壮苗、控旺使用1500倍)叶面喷雾,4、绿风95 600倍叶面喷雾,5、金邦1号植物健生素500倍...
三、葡萄现在这个季节出现叶子边缘发黄,正常吗?
葡萄采摘后,应喷施一次保护性杀菌剂,一般使用1:0.7:200波尔多液,也可以使用柔水通4000倍+80%金纳海(福美双)800倍。同时,叶喷芸苔素内酯+氨基酸+斯德考普补充营养,保护叶片。
四、芸苔素内脂是真对葡萄大小粒是喷叶还是喷果实
芸苔素内酯在葡萄上的使用方法:其使用浓度是0.02-0.04ppm,即例如用10ml含量为0.01%的芸苔素内酯乳油(有效成分为:3,24-混表芸苔素内酯)兑水25-50公斤,即得此浓度。分别在始花期、幼果期、膨大期叶面均匀喷施。其使用效果:有保花保果,显著提高座果率,果实大小均匀,着色好,增甜,早熟,增...
五、小麦发黄死苗如何防治,一亩小麦用多少芸苔素
在小麦返青期,可进行叶面喷施芸苔素内酯,使用剂量为芸苔素内酯20-30毫升加液体氮肥500克,这样既能有效预防倒春寒引起的各种症状,还可以提高小麦分蘖量,增强抗逆性。三、芸苔素不可以和什么农药使用 1、芸苔素不可以和碱性农药使用,比如波尔多液、石硫合剂等,易导致出现药害;也不可与碱性肥料钙镁磷肥...
28表高芸赤吲乙一瓶多少亩地
关于“28表高芸赤吲乙一瓶施用量”的核心结论:根据问题描述,“28表高芸赤吲乙”可能指含有赤霉酸、芸苔素内酯和吲哚乙酸的植物生长调节剂复配药剂。一瓶(常规100ml装)通常能覆盖2-4亩地,具体施用量需根据作物类型、生长阶段及产品浓度调整。结合农业生产经验,这类药剂的使用需注意三个核心参数:1...
波尔多液最佳搭配
适用多种果树和蔬菜。2. 与植物生长调节剂搭配:例如和芸苔素内酯搭配。芸苔素内酯能调节植物生长,增强植物的抗逆性。与波尔多液一起使用,在预防病害的基础上,促进植物生长发育,提高作物品质和产量,常用于各类农作物。不过在搭配使用时,一定要注意按照正确的比例和方法进行调配,避免产生药害 。
辣椒主要病害及其防治
1、播种之前,使用2.5%咯菌腈悬浮种衣剂进行包衣处理,用量为种子重量的4-5。2、在育苗的时候,选择地势高、排水性能良好的地块进行育苗,同时控制好苗床的温度和湿度,注意通风换气,培养出壮苗。3、在苗期的时候,叶面喷洒0.01%芸苔素内酯乳油8000-10000倍液或0.1-0.2%磷酸二氢钾溶液,可以有效增强...
芹菜的种植方法
3、 点播种植 种子表面的水沥干后即可点播种植,先在基质上挖好土坑,间距控制在15厘米左右。不可离得太近,种植过密幼苗会争夺养分,可能导致成活率降低。每个坑中最多放两粒种子,然后用细土覆盖,静待种子生根。4、 后期养护 栽种完毕要注意养护,如果发现土壤比较干燥需要及时补充水分,让其处于微润...
芸苔素危害
遵循产品使用说明,确保施药剂量准确,避免过量使用。在适宜的施药时间进行喷洒,以确保药效发挥并减少对环境的潜在影响。综上所述,芸苔素在农业应用中是一种相对安全的植物生长调节剂,但使用时需严格遵守使用说明,避免与其他不适宜的农药或除草剂混用,并严格控制使用剂量和施药时间。

