葡萄开花前什么时候喷硼肥最好?

奥普乐农业2025-11-21 14:5371 阅读15 赞

1、葡萄硼肥什么时候打最好?开花前?还是花期打?

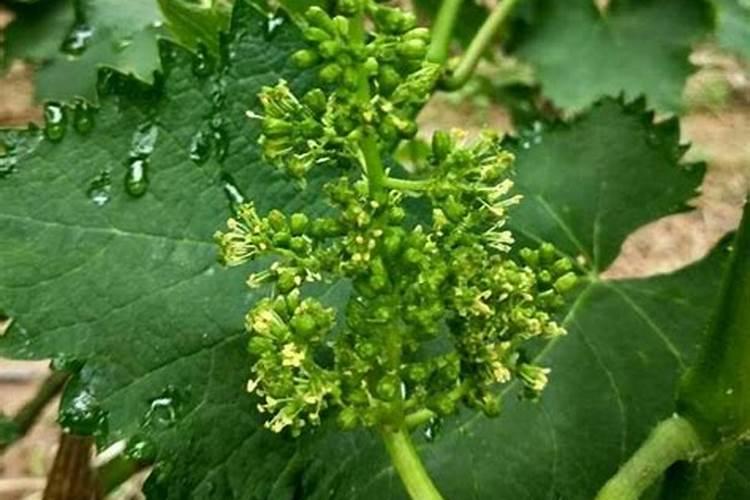
第一次喷施应在葡萄花序开始展开时进行,这时枝条大约长到60至80厘米左右。第二次喷施则安排在第一次喷施后的7到10天后。通过两次喷施,可以有效解决花蕾发育不良,无法正常开放的问题。值得注意的是,不仅在花期和幼果期喷施硼肥是必要的,从长远角度来看,要从根本上解决硼缺乏的问题,需要在全年各个关键生长期进行喷施。

葡萄硼肥什么时候打最好?开花前?还是花期打?

2、葡萄硼肥什么时候打最好?开花前?还是花期打?

葡萄硼肥在盛花期喷洒最好。在葡萄的盛花期喷洒300倍液的硼酸或硼砂(硼酸钠),可以促进花粉管萌发,提高座果率。

葡萄硼肥什么时候打最好?开花前?还是花期打?

3、葡萄开花前施什么肥

在葡萄快开花一周之前,可给叶子喷洒硼肥,并施加些以高磷元素为主的肥料,这样可以更好的促进它开花,花朵开放的会更健康。在花前进行施肥,通常使用磷酸二氢钾,或者是磷肥含量高的复合肥都行。在开花的时候,一定不要施加含氮含量高的肥料,这样不但不能促花,还会导致落花的现象出现。葡萄开花期间...

葡萄开花前施什么肥

4、葡萄开花前喷什么叶面肥

1. 葡萄开花前的管理十分关键,它直接影响着葡萄的产量和树势。2. 在葡萄开花前一周,应喷洒硼肥并施用高磷肥料,这有助于促进健康的花朵开放。3. 施肥时,可以选择磷酸二氢钾或富含磷的复合肥。但开花期间应避免使用高氮肥料,以免导致落花。4. 葡萄开花期间,补充硼和钙的叶面肥对保花保果至关...

葡萄开花前喷什么叶面肥

5、对于处于开花期的葡萄,浇水并施硼肥合适吗

有利于提高葡萄的授粉受精成功率,减少落花落果,提高坐果率,还能增强葡萄树的抗逆性。在葡萄开花前一周左右或初花期,可以叶面喷施硼肥溶液,浓度要按照说明书严格调配,避免浓度过高产生肥害。也可在土壤中适量追施硼肥,让根系吸收。但同样要注意用量,过量施硼可能会对葡萄植株产生不良影响。

对于处于开花期的葡萄,浇水并施硼肥合适吗

葡萄补硼的最佳时期

一、葡萄补硼的最佳时期 1、补硼的最佳时期 葡萄在种植过程中,一般在施加基肥的时候,将硼肥与各种微量元素混合一起施入。除此之外,在花序刚刚开始展开,枝条长度约为60-80cm左右的时候叶面喷施一次硼肥,在第一次喷施硼肥后的7-10天左右喷施第二次硼肥。2、施肥量 (1)基肥:结合秋施基肥,每株...

葡萄补硼的最佳时期

一、葡萄补硼的最佳时期 葡萄补硼的最佳时期是开花之前,因为开花之前施加这种肥料能够促进形成花器官,提高花芽的分化能力,有助于受精授粉,提高坐果率 。如果硼肥与钙肥一起使用,那么它的保花保果效果会大大提升。硼肥的使用量直接关系着果实的多少与大小,也就是与葡萄的产量和品质都有关系,所以一定...

对于开花期的葡萄,进行浇水和施硼肥是否恰当

硼肥对开花期的葡萄也十分重要。硼元素能促进花粉萌发和花粉管伸长,提高坐果率,减少落花落果现象。在葡萄开花前一周左右,可叶面喷施硼肥溶液,浓度要按照说明书调配准确,一般稀释成 0.2% - 0.3%的硼酸溶液或硼砂溶液。这样能为植株补充硼元素,满足花期对硼的需求,提高葡萄的开花质量和结果率。

在葡萄开花的这个时期,浇水施硼肥可不可以呢

提高坐果率。花期可以通过土壤施肥和叶面喷施两种方式补充硼肥。土壤施肥可在开花前一周左右,每亩施入硼砂0.5 - 1公斤;叶面喷施可在初花期和盛花期,用0.2% - 0.3%的硼砂溶液或0.1% - 0.2%的硼酸溶液进行喷施,选择在晴天的上午10点前或下午4点后进行,均匀喷洒在叶片和花朵上。

热点