葡萄刚有花穗可以施氮肥吗?

奥普乐农业2025-09-23 19:0452 阅读15 赞

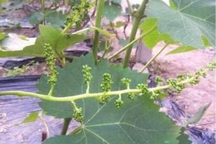
一、葡萄花穗期怎么管理

在开花前追施磷肥、氮肥,以保证养分供给。花期不能缺少磷肥,可每隔78天喷施一次磷酸二氢钾,连续喷洒两次。开花结束后喷施一次肥料,补充葡萄开花所消耗的养分。防治病虫害:葡萄花期易染上炭疽病、黑痘病、灰霉病、褐枯病、霜霉病、白粉病、盲蝽、红蜘蛛等病虫害。可提前喷氯氰菊酯、氰戊菊酯、吡虫啉、多菌灵、波尔多液、吡蚜酮等药剂进行预防,但开花期间不可打药。

葡萄花穗期怎么管理

二、葡萄树看见花穗时能施农家肥吗?

1. 当葡萄树出现花穗时,可以适时施用农家肥,这对葡萄树的生长有益。2. 最佳施肥时期应安排在葡萄树花穗期,这样能够促进花穗的良好发育,提升果实坐果率。3. 选择的农家肥应是完全腐熟的有机肥料,例如家畜家禽的粪便或堆肥等,同时,为加速花穗生长,可适量添加一些速效氮肥,如尿素。4. 施肥方式可...

葡萄树看见花穗时能施农家肥吗?

三、大棚葡萄开花时该如何追肥

3. 对于花穗较多的葡萄树,在开花前追施氮肥,并配合适量的磷肥和钾肥,有助于增大果穗,减少落花,追肥用量为全年总施用量的约1/5。4. 开花后,当果实大小如绿豆粒时,追施氮肥能促进果实发育,并协调枝叶生长,具体用量应根据葡萄的生长状况来调整,生长旺盛时用量宜少,生长较弱时则用量应适当增加...

葡萄施什么肥料好

葡萄施肥建议如下:1. 基肥: 有机肥:葡萄需大量养分,基肥在入冬后施入,建议每公顷施鸡、鸭粪3.0万kg、饼肥3750kg、过磷酸钙3750kg,以满足其长期生长需求。2. 追肥: 氮肥:葡萄早期以氮肥为主,特别是在荫芽前和开花前,以促进枝蔓生长和花穗发育。定植第一年可追施尿素3次,每次50克/株;...

种植葡萄施什么肥料

在葡萄种植初期,主要施用固态无机肥,具体肥料种类应根据葡萄的生长发育阶段来决定。这一时期,重点是促进枝蔓生长和花穗发育,因此需要施用氮肥。可以使用尿素,第一年每株施用三次,每次50克。此外,还要追施两次三元复合肥,每次每株100克。二、结果期施用的肥料:当葡萄进入结果期后,应减少氮肥的...

葡萄种植需要施什么肥料

葡萄种植需要施加的肥料主要包括以下几种:1. 早期肥料 氮肥:在葡萄生长的早期,主要施加氮肥,如尿素,以促进枝蔓生长和花穗的发育。第一年通常需要施加三次,每次每株50克。 三元复合肥:此外,还需追施两次三元复合肥,每次每株100克,以提供全面的营养支持。2. 结果期肥料 磷肥和钾肥:进入结果期...

大棚葡萄开花时该如何追肥

①萌芽前追施氮肥主要是对没有施用基肥的葡萄树,起到促进枝叶和花穗发育、扩大叶面积的作用。②对花穗较多的葡萄树,在开花前追施氮肥并配施一定量的磷肥和钾肥,有增大果穗、减少落花的作用,用量为年施用量的1/5左右。③开花后,当果实如绿豆粒大小的时候,追施氮肥有促进果实发育和协调枝叶生长...

葡萄种植需要施什么肥料葡萄种植需要施哪些肥料

1. 在葡萄种植的早期阶段,通常选择施用固态无机肥料。具体的肥料种类应根据葡萄生长的不同阶段来决定。早期生长阶段主要需要施用氮肥,以促进枝蔓和花穗的健康发展,为之后的果实成熟打下基础。例如,可以使用尿素,第一年大约需要施用三次,每次每株大约50克。此外,还可以追施两次三元复合肥,每次每株...

葡萄专用肥料

枝叶萌发阶段:此阶段可以适当使用氮肥,促进枝叶旺盛生长。开花结果阶段:开花结果时可以施加磷钾肥,以促进葡萄更好的开花,提高坐果率。追肥时机:追肥主要在葡萄的荫芽前、开花前和果实膨大期进行。在葡萄生长前期,以氮肥为主,促进枝蔓生长和花穗发育;在果实膨大期,增施磷、钾肥,以改善果实品质...

葡萄花穗期怎么管理,葡萄花穗期的养护要点有哪些

葡萄开花期要疏花序,疏花疏果才能够保证整体的果实长势饱满。葡萄的开花期也要控制好温度湿度,为后期的生长营造良好的环境。同时要加强水肥管理,为葡萄补充营养,适当进行追肥,避免氮肥过多。接下来一起从调整花序,调温湿度与水肥管理等方面带来详细了解一下。1.调整花序 修整花序,增加整体的叶果比率...

热点