葡萄苗为什么要施硼肥水?

奥普乐农业2025-11-11 16:5088 阅读4 赞

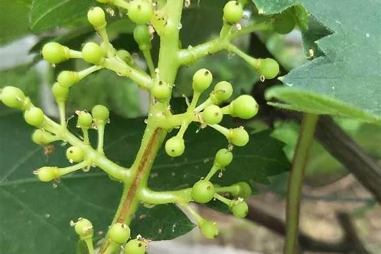
一、小葡萄苗施什么肥长的快

硼肥:小葡萄苗生长期间需要施用硼肥以促进根部生长,并加快光合作用速率。建议氮肥与硼肥的施用比例为5:2左右。水溶肥:水溶肥中的营养元素以离子形式存在,易于植物快速吸收。对小葡萄苗施用水溶肥,可以迅速产生肥效,促进生长。施肥时注意肥料与水的比例最好不要超过1:2000,避免浓度过高。注意事项:施肥时不要把肥料直接洒在小葡萄苗的叶片上,以免影响光合作用或导致叶片枯...

二、葡萄小苗用什么肥长得快

葡萄小苗正处于生长期,根系尚不发达,需要施用促进根部生长的硼肥。施用硼肥不仅对根部有好处,还可以加快葡萄小苗光合作用的速率,建议施肥比例氮肥与硼肥的比例在5:2左右。3、水溶肥 水溶肥中的营养元素以离子形式存在,十分利于植物的快速吸收,即使是葡萄小苗这种幼苗状态的植物也可以快速吸收,并迅速产...

三、小葡萄苗施什么肥长的快

为了促进根系发展和加快光合作用,小葡萄苗应施用适量的硼肥。合适的氮肥与硼肥比例大约为5:2,有助于苗木健康成长。3. 应用水溶肥 水溶肥中的营养元素以离子形式易于植物吸收,对小葡萄苗这样的幼苗同样有效。使用水溶肥可以快速提供营养,促进生长,使苗木更加健壮。注意事项 在施肥过程中,应避免肥料直...

小葡萄苗施什么肥长的快

四、葡萄苗施什么肥长的快

1. 氮肥促进萌发:在葡萄苗初期萌发阶段,施用氮肥有助于推动根系快速发展。2. 硼肥促进花期:葡萄开花前,追施含硼的根外肥料,有助于提高坐果率和促进光合作用。3. 复合肥提供全面营养:定期施用含有均衡氮、磷、钾的复合肥,有助于葡萄苗的整体健康生长。4. 施肥后注意浇水:施肥后应适量浇水...

五、小葡萄苗施什么肥长的快

2. 开花期间,适量施加硼肥有助于植株更好地进行光合作用,从而促进开花。3. 幼果期开始于花期结束后,此时应追施氮磷钾复合肥,以加速养分的积累。4. 进入果实成熟期,应施用富含钾和钙的肥料,以促使果实迅速成熟。葡萄不仅味道鲜美,营养价值也十分丰富。葡萄在生长过程中需要充足的光照,但过强的...

小葡萄苗施什么肥长的快

小葡萄苗施什么肥长的快

为了促进小葡萄苗的快速生长,可以选择施用氮肥、硼肥和水溶肥。1. 氮肥和硼肥的施用:在小葡萄苗的生长期,特别是根系尚未完全发展的阶段,施用含有适当氮元素和硼元素的肥料至关重要。合适的氮肥与硼肥的比例大约为5:2,这样的配比有助于促进根系发展和加快光合作用的进行。2. 水溶肥的使用:水溶肥...

小葡萄苗施什么肥长的快 葡萄用什么肥料长得快

开花期:主要施加硼肥。硼元素对葡萄的光合作用有重要作用,能促进植株更好地开花,提高坐果率。幼果期:此时应追施氮磷钾复合肥。这种复合肥能为葡萄苗提供全面的营养,加速养分的累积,有助于果实初期的发育。果实成熟期:应施加含钾、钙元素的肥料。钾元素有助于提高葡萄的品质和产量,而钙元素则能...

小葡萄苗施什么肥长的快

2、开花期:主要施加硼肥,促使植株更好地进行光合作用,利于植株开花。3、幼果期:花朵凋谢后就进入幼果期,此时要追施氮磷钾复合肥,加速累积养分。4、果实成熟期:施加含钾、钙元素的肥料,促使果实更快成熟。葡萄的营养成分葡萄不仅味美可口,而且营养价值很高。葡萄在正常生长期间必须要有一定强度的...

小葡萄苗施什么肥长的快

葡萄在开花前两周要施加根外肥,肥料以硼肥为主,还可以施加微生物增甜剂,合理追肥能促使葡萄更好的进行光合作用,有利于提高植株的坐果率。3、复合肥 想要小葡萄苗快速生长,还要为其施加营养元素丰富的复合肥,为植株提供充足的氮磷钾元素,促使根茎生长,并且要间隔10-15天给小葡萄苗添加一次。4、...

热点