葡萄要经常施硼肥吗为什么?

奥普乐农业2025-11-14 10:5913 阅读16 赞

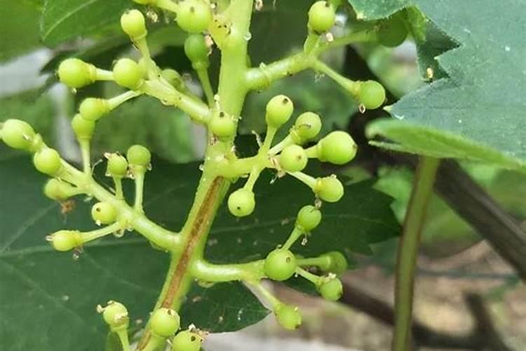
1、对于处于开花期的葡萄,浇水并施硼肥合适吗

对于处于开花期的葡萄,适量浇水并合理施硼肥是合适的。开花期的葡萄对水分较为敏感,此时适量浇水能满足其生长需求,维持植株生理活动的正常进行,保证花朵的正常发育和授粉受精过程。不过,浇水不宜过多,以免造成土壤积水,导致根系缺氧,影响植株生长,甚至引起落花现象。硼肥对于葡萄开花期也很重要。硼元素能

2、葡萄补硼的最佳时期

葡萄补硼的最佳时期有两个:施加基肥时:在施加基肥时,将硼肥与各种微量元素混合一起施入。此时补充硼肥可以为葡萄的整个生长周期提供稳定的硼元素来源。花序展开时:在花序刚刚开始展开,枝条长度约为6080cm左右的时候,叶面喷施一次硼肥,并在第一次喷施后的710天左右喷施第二次硼肥。这样可以确保葡萄在...

葡萄补硼的最佳时期

3、对于开花期的葡萄,进行浇水和施硼肥是否恰当

硼肥对开花期的葡萄也十分重要。硼元素能促进花粉萌发和花粉管伸长,提高坐果率,减少落花落果现象。在葡萄开花前一周左右,可叶面喷施硼肥溶液,浓度要按照说明书调配准确,一般稀释成 0.2% - 0.3%的硼酸溶液或硼砂溶液。这样能为植株补充硼元素,满足花期对硼的需求,提高葡萄的开花质量和结果率。

对于开花期的葡萄,进行浇水和施硼肥是否恰当

葡萄补硼的最佳时期

葡萄补硼的最佳时期是开花之前,因为开花之前施加这种肥料能够促进形成花器官,提高花芽的分化能力,有助于受精授粉,提高坐果率 。如果硼肥与钙肥一起使用,那么它的保花保果效果会大大提升。硼肥的使用量直接关系着果实的多少与大小,也就是与葡萄的产量和品质都有关系,所以一定要根据葡萄生长状况适时施...

葡萄补硼的最佳时期

(1)基肥:结合秋施基肥,每株葡萄施加50g硼砂或者是硼酸,补充硼元素。(2)叶面追肥:每次叶面喷施0.1-0.3%的硼砂或者是硼酸溶液。二、补硼过度会有什么影响 1、硼肥施加过度的影响 土壤中,缺硼浓度到硼过量之间的跨度很小,一旦硼肥施加过度就容易导致葡萄硼中毒,主要表现为叶片边缘发黄、焦枯...

当葡萄处于开花期,此时浇水并施加硼肥行不行

葡萄开花期可以浇水并施加硼肥,但需要把握好方式和量。开花期适量浇水很关键。此时土壤过于干旱会影响葡萄的花芽分化、授粉受精等过程,导致落花落果。不过,浇水也不宜过多,若土壤积水,会使根系缺氧,影响植株生长,一般保持土壤微微湿润即可。硼肥对葡萄开花结果意义重大。硼元素能促进花粉萌发和花粉管伸长...

葡萄保果的正确方法

葡萄保果需从多方面着手。一、合理施肥:在葡萄开花前,适量追施硼肥,硼元素能促进花粉萌发和花粉管伸长,利于授粉受精,提高坐果率。花期避免大量施用氮肥,以防新梢徒长与花果争夺养分,可在花后适量补充氮磷钾复合肥,满足果实生长需求。二、花期管理:花期要注意控制湿度与温度。湿度保持在50% - 60...

葡萄在开花的时候,浇水同时施硼肥是否可以呢

葡萄开花时,浇水同时施硼肥理论上是可行的,但需要谨慎操作。硼元素对葡萄的生殖生长很重要,能促进花粉萌发和花粉管伸长,提高坐果率,在花期补充硼肥是合适的。浇水则有助于保持土壤湿度,为葡萄生长提供适宜的水分环境,特别是花期对水分也有一定需求。不过,同时进行时要注意方法。硼肥的施用量需严格...

葡萄硼肥什么时候打最好?开花前?还是花期打?

从长远角度来看,要从根本上解决硼缺乏的问题,需要在全年各个关键生长期进行喷施。此外,研究显示,在葡萄采收后进行叶面喷施硼肥,效果尤为显著,这不仅能够促进第二年的坐果,还能提高果实品质。因此,种植者应根据葡萄的生长周期和具体需求,合理安排硼肥的施用时间,以确保葡萄生长的健康和果实的质量。

热点