草莓苗没心是什么原因?

奥普乐农业2025-10-01 08:4892 阅读19 赞

1、种植的草莓出现了空心的现象,到底是什么原因造成的?

草莓是空心的,里面没有昆虫,排除了相关病虫害的可能性。草莓空心的主要原因是营养不平衡或激素喷洒过量。肥料破坏和激素使用不当导致草莓膨胀生长旺盛。通常我们认为肥料危害是烧根烧苗。但草莓太大形成空洞时,其实也可能是过量使用化肥或高浓度激素。可能是无意的,也可能是为了经济利益故意的。草莓根系浅,侧根少,但叶片蒸

种植的草莓出现了空心的现象,到底是什么原因造成的?

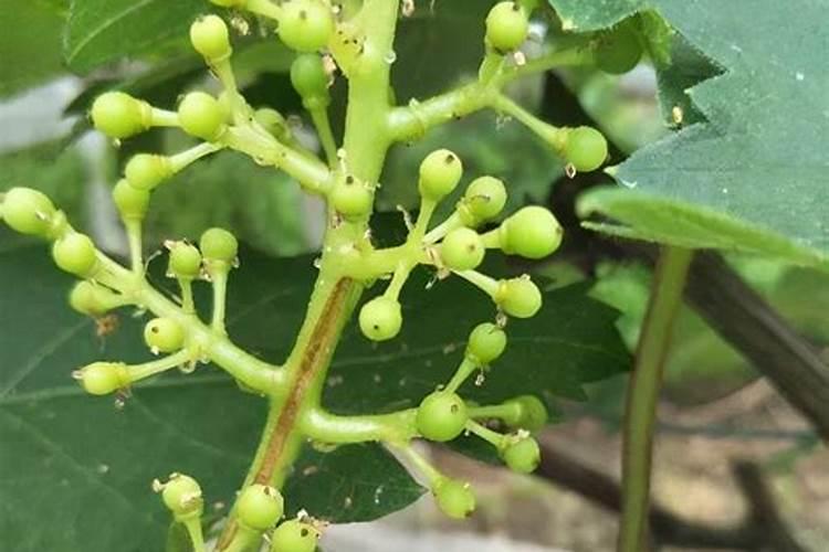
2、草莓开花结果后没心叶还能长出来吗?

这种现象叫做草莓花打顶。主要引起的原因是:沤根、烧根、营养吸收障碍和伤根类型。针对引起的原因,加强管理是能够长出心叶的。花打顶时暂时先不要交事暂时先不要浇水。夜间地温要控制在10度以上。慢慢就会有所改善的。你的这个图就是花打顶 ...

草莓开花结果后没心叶还能长出来吗?

3、草莓新叶叶脉发黑是什么原因 心叶皱缩不展

草莓新叶叶脉发黑,心叶皱缩不展的原因主要是蓟马虫害导致的。以下是具体原因及应对措施,还有草莓的种植建议:原因及应对措施:蓟马虫害:草莓新叶叶脉发黑,并伴有心叶皱缩不展的现象,很可能是因为受到了蓟马虫的侵害。蓟马虫危害草莓植株后,叶片中心会出现黑色条纹斑,导致心叶无法正常展开,植株生长受...

草莓新叶叶脉发黑是什么原因 心叶皱缩不展

4、草莓苗烂心什么原因,怎么处理

1、草莓苗烂心的原因 草莓喜水,但是怕涝。草莓苗出现烂心的现象,多是由于浇水过多导致的。2、草莓苗烂心的处理方法 使用适量的恶霉灵,可以治疗草莓苗的烂心问题。烂心严重的,建议重新种栽植草莓苗。3、栽种草莓苗的注意事项 控制好草莓的种植密度,一般应根据自身的种植技术、土壤的肥力、幼苗的...

草莓苗该如何定植和管理?需要注意哪些事情?

因为阴天的相对温度稍低,或也可以用遮阳网短时间内防止阳光照射。移栽的深度是决定草莓苗成活率的关键因素。移栽时,新茎顶部应与芯芽基部平齐,做到 "深不埋心,浅不露根"。移栽过深,苗心被*埋没,遇雨易烂心死苗。移栽过浅,根茎外露,不易发新根,新茎在阳光下暴晒,造成死苗。水肥管理 在...

草莓新叶叶脉发黑是什么原因

草莓新叶叶脉发黑的主要原因是蓟马虫害。以下是关于此问题的详细解答:虫害原因:草莓新叶叶脉发黑很可能是由于蓟马虫害导致的。蓟马虫会危害草莓植株,导致叶片中心出现黑色条纹斑,心叶皱缩不展,植株矮小且生长停滞。果实受害后也不能正常着色,果皮颜色变为茶褐色。治疗方法:针对蓟马虫害,可以给草莓喷洒...

为什么草莓定植后成活率不高?如何有效防治?

原因:草莓是浅根系作物,主要根群分布在20cm土层中。定植过深会导致埋心,影响新叶伸展,透水、透气性差,严重时导致死亡;定植过浅则根茎外露,不易产生新根,新茎被日晒易引起秧苗干枯死亡。防治措施:定植时将摘除老叶和坏死根的草莓苗心与土面一样平(深不埋心,浅不露根)。若已栽深,可轻提...

请教我的盆栽草莓烂心,种了两个月还是这样,怎样才能救活

盆栽草莓烂心可能是由于栽植过深或浇水不当导致的,可以尝试以下方法来救活:调整栽植深度:检查草莓的栽植深度,确保苗心基部与土表面平齐。如果栽植过深,轻轻拔出草莓苗,重新栽植至合适的深度。改善浇水管理:保持土壤湿润,但避免积水,以防烂根。浇水应遵循小水勤浇的原则,特别是在果实速长期和成熟...

草莓苗栽上几天缓过来

草莓苗栽上几天缓过来刚刚栽上草莓苗大概需要4-5天左右的时间才会缓过来,基本上有3天-5天的时间它的心叶就活了,这个时候可以摘掉部分老叶,减少养分消耗。然后将它拿出室外,给予充足阳光,并浇一些磷酸钙溶液,促进根系的生长。之后每1-2天浇一次水,保持土壤湿润就可以了。此外,务必使用腐熟有机...

热点