葡萄春季什么时候施肥?

奥普乐农业2025-11-23 15:109 阅读27 赞

1、葡萄施肥最佳时间

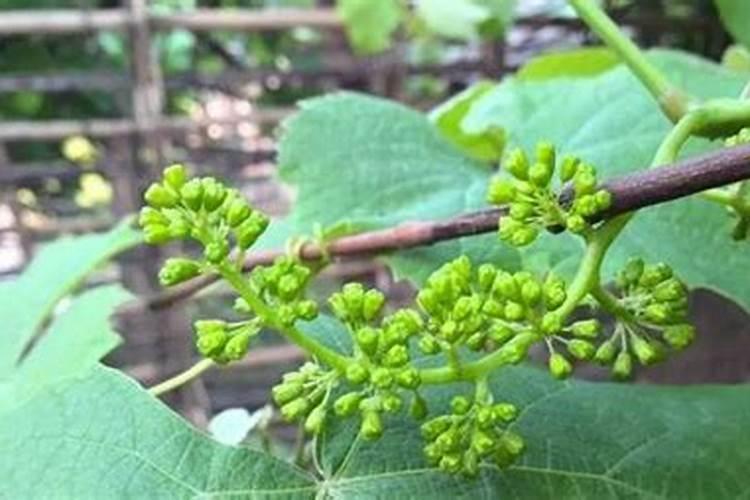
①萌芽前(催芽肥) 在春季葡萄绒球期(芽苞开裂前7-10天),北方地区多在3月下旬至4月上旬,南方可提前至2月底。此次施肥以氮为主,占比约60%,促进新梢生长和叶片发育。建议每亩施用高氮复合肥(30-10-10)15-20公斤,配施腐熟羊粪500公斤。沙质土壤需分两次施用,间隔10天。②开花前(稳果肥)

2、葡萄春天的最佳施肥期是什么时候

葡萄春天的最佳施肥期主要包括催芽肥、花前肥两个阶段。催芽肥的最佳施肥期:催芽肥一般在早春芽开始萌动前施入。这个阶段施肥的主要目的是为葡萄树提供足够的养分,促进其芽眼的萌发和新梢的生长。此时施肥应以速效性肥料为主,因为这些肥料能迅速被葡萄树吸收利用,满足其生长初期的养分需求。花前肥的最...

3、葡萄施肥时间和方法有哪些???

促成肥:在立秋前后施用。采后肥:中早熟品种于8月中下旬或9月上旬施用,晚熟品种于9月下旬或10月上旬施用,为来年高产创造条件。施肥方法基肥:秋季葡萄落叶前施用,用量按果实量计算,100斤果实施用环肥150-200公斤、磷肥3-5公斤、硫酸钾0.2-0.3公斤。叶面喷施可增加500-600倍液,积蓄养分防止...

葡萄施肥时间和方法有哪些???

葡萄春天的最佳施肥期是什么时候

葡萄春天的最佳施肥期主要包括以下几个阶段:催芽肥:早春芽开始萌动前是施催芽肥的最佳时期。此时主要以施用速效性肥料为主,以促进葡萄芽的萌发和生长。花前肥:葡萄树开花前710天是施花前肥的最佳时期。此阶段施肥可以提高花穗的质量,并有助于防止果树出现落花、落果的现象。膨果肥:虽然膨果肥主要...

葡萄施肥时间表

施基肥时间:秋季。此时空气和土壤温度高于春季,更利于根系生长和伤口愈合,施肥效率及葡萄苗成活率更高。肥料选择:以有机肥为主。施肥量:根据树龄调整,幼树施有机肥3-4公斤,成年葡萄树需更多。萌芽期追肥时间:春季葡萄萌芽后,叶片进入快速生长阶段。肥料需求:需大量氮肥,需及时追肥以满足生长需求...

葡萄春天的最佳施肥期是什么时候

葡萄春天的最佳施肥期主要包括以下几个阶段:催芽肥:早春芽开始萌动前是施用催芽肥的最佳时期。此时主要以施用速效性肥料为主,以促进葡萄芽的迅速萌动和生长。花前肥:葡萄树开花前710天是施用花前肥的最佳时间。此阶段施肥可以提高花穗的质量,并有助于防止果树出现落花、落果的现象,从而提高果树的...

葡萄春天的最佳施肥期是什么时候

1. 催芽肥:耐纯衫一般在早春芽开始萌动前施入,此时主要以施用速效性肥料为主。2. 花前肥:一般可以在葡萄树开花前7-10天开始施肥,以提高花穗的质量和防止果树出现落花、落果的现象。3. 膨果肥:昌腔裤猛葡萄树进入膨果期之后开始施用,此时施肥可以提高果树的坐果率以及促进果实均匀地膨大。

葡萄什么时候施肥葡萄的施肥时间

1、葡萄的施肥通常需要进行五到六次,这取决于葡萄的品种。春季促芽肥应在大约四月中旬或谷雨前后施用,此时土壤温度开始升高。若在此前施肥或浇水,可能会因低温刺激根部,导致根系生长减缓。春季施肥旨在促进芽的萌发,通常使用高氮肥、生根特种肥和微生物菌肥的组合,这有助于树体快速萌芽并加速根部生长...

什么时间给庭院葡萄树施肥

葡萄树的施肥时间主要分为两个时期:萌芽至开花期以及果实成熟后的秋季。二、1. 萌芽至开花期施肥:春季是葡萄树生长旺盛的时期,从萌芽到开花期间,树体需要充足的养分支持新梢生长、开花及坐果。此时应施以含有适量氮、磷、钾等元素的复合肥,以促进葡萄树健康生长。2. 秋季施肥:葡萄树在果实成熟后...

热点