葡萄树春季什么时候喷硼肥最好?

奥普乐农业2025-09-15 00:5369 阅读11 赞

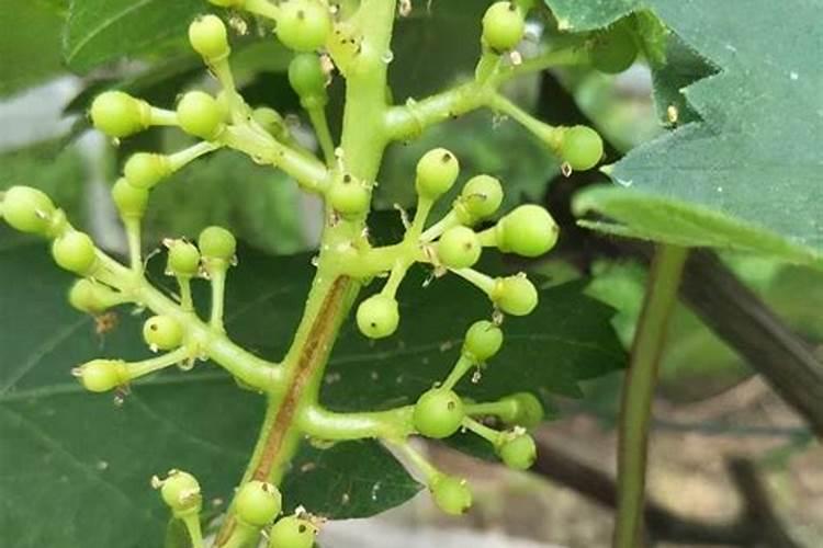
一、葡萄硼肥什么时候打最好?开花前?还是花期打?

第一次喷施应在葡萄花序开始展开时进行,这时枝条大约长到60至80厘米左右。第二次喷施则安排在第一次喷施后的7到10天后。通过两次喷施,可以有效解决花蕾发育不良,无法正常开放的问题。值得注意的是,不仅在花期和幼果期喷施硼肥是必要的,从长远角度来看,要从根本上解决硼缺乏的问题,需要在全年各个关键生长期进行喷施。

葡萄硼肥什么时候打最好?开花前?还是花期打?

二、葡萄补硼的最佳时期,补硼过度会有什么影响

1、最佳时期:施加基肥时,将硼肥与各种微量元素混合一起施入,另外在花序刚刚开始展开时叶面喷施一次硼肥,并在7-10天过后喷施第二次硼肥。2、施肥量:基肥,每株葡萄施加50g的硼砂或硼酸,叶面追肥时,每次叶面喷施0.1-0.3%的硼砂或硼酸溶液。一、葡萄补硼的最佳时期 1、补硼的最佳时期 葡萄在种植...

葡萄补硼的最佳时期,补硼过度会有什么影响

三、葡萄第一次打硼,钙,锌叶面肥什么时候

葡萄在花后开始结果时期喷施锌肥是一个很好的选择,可以使用碳补饱锌肥,比如碳补饱锌硼肥等。在营养生长早期,可以喷施碳补饱锌硼肥,以预防缺素情况的发生。如果担心葡萄缺素,可以在花前喷施碳补饱叶面肥。通过这种方式,葡萄所需的铁、锰、锌、铜、钙、硼、钼等营养元素都可以得到补充。使用叶面肥...

四、葡萄什么时候施肥 葡萄的施肥时间

1、葡萄全年施肥一般不低于五到六次,具体还要看品种。春季促芽肥:春季施肥一般在四月中旬左右或者谷雨前后进行,因为这个时候地温度才能上来。地温过低的时候施肥或浇水,很容易刺激到树根,使根部生长减缓。春季施肥主要是以催芽为主,这个时候一般以高氮肥+生根特种肥+微生物菌肥为主。这样能使树体快速...

葡萄春季管理技术

葡萄春季管理技术主要包括以下几个关键方面:一、萌芽期管理 灌催芽水:2月中下旬至3月初,果园应及时全园灌水,确保萌芽整齐。施用速效氮肥:此阶段,花芽继续分化,新梢开始旺盛生长,需要大量养分。应施用腐熟的人粪尿混掺0.2%尿素,施肥量约占全年的15%左右。二、新梢生长期管理 抹芽:3月份至4...

葡萄施肥方法及注意事项 葡萄怎么施肥方法及注意事项

硫酸钾3035千克,硫酸锌3千克,硼肥3千克。叶面肥:施肥时间:葡萄开花前和幼果期各喷施一次。用法与用量:0.1%的尿素+0.2%的硼砂+0.2%的磷酸二氢钾。注意事项:灌水:每次施肥后要及时灌水,以便更好地稀释肥料,利于葡萄树苗吸收。除草松土:为了葡萄更好的生长和结果,应及时进行除草和松土工作。

葡萄施肥的最佳时间

1、葡萄施肥一般分为五个主要阶段,具体施肥次数应根据葡萄品种来决定。春季促芽肥应在大约4月中旬或谷雨前后施用,此时土壤温度逐渐上升,适合施肥。如果过早施肥,可能会因为地温过低而抑制根系生长。春季施肥主要目的是促进芽萌发,通常使用高氮肥、生根特种肥和微生物菌肥的组合,这有助于树体快速萌芽和...

葡萄施肥时间和方法

2. 催条肥主要针对生长较弱的葡萄树。如果在4月下旬时,大部分枝蔓长度仍未达到2尺以上,建议每亩再追施25公斤尿素。同时,在花期喷施硼肥,以促进花穗的发育。3. 催果肥的施用时间是在五月下旬至六月上旬,当葡萄粒长到黄豆粒大小的时候。为了促进果实的进一步发育,每亩可追施25公斤尿素、25公斤50...

葡萄什么时候施肥 葡萄的施肥时间

1、葡萄的全年施肥通常不少于五次,具体次数根据葡萄品种而定。春季促芽肥是在四月中旬或谷雨前后施用,此时土壤温度逐渐升高,适宜施肥。若土壤温度过低,施肥或浇水可能会抑制根系生长。春季施肥以促进芽萌发为主,通常使用高氮肥、生根特种肥和微生物菌肥的组合,这有助于树体快速萌芽并促进根系发展...

葡萄早春施肥方法

在早春萌芽膨大之际,为果树施加速效性氮肥至关重要。将肥料靠近根部施用,有助于根部吸收,促进新梢生长健壮,进而提升产量。这一阶段的施肥工作,对果树的整体生长具有决定性影响。开花前两周,进行根外施肥,是另一关键时期。选用硼肥并搭配微生物增甜剂,通过叶面喷洒的方式,能有效提升光合作用效率...

热点