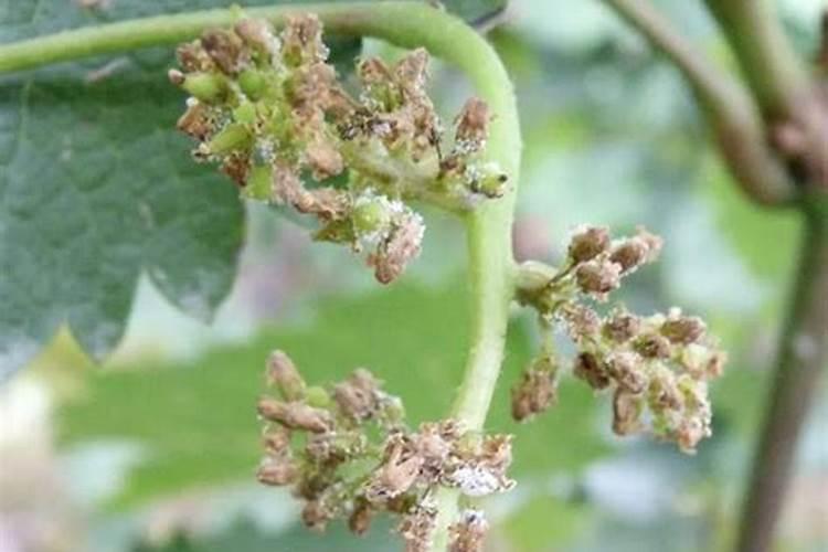
防治葡萄霜霉病的杀菌剂

奥普乐农业2025-09-02 01:0258 阅读23 赞

1、葡萄得了霜霉病用什么药有效(霜霉病严重打什么药效果好)

葡萄得了霜霉病,可以使用以下药物进行有效防治:预防阶段:波尔多液:可以喷洒1:0.7:200倍的波尔多液进行预防。杜邦易保粒剂:恶唑菌酮和代森锰锌的复配剂,具有保护和治疗作用,一般使用800-1200倍液。科博:波尔多液和代森锰锌的复配剂,药效好,持效期长,一般使用500-600倍液。大生M-45:一般

葡萄得了霜霉病用什么药有效(霜霉病严重打什么药效果好)

2、葡萄的霜霉病现在用什么药比较好

葡萄霜霉病可以使用以下药剂进行防治:发芽前预防:使用5度石硫合剂进行喷布。发病前预防:结合防治其他病害,喷布1:0.7:200—240波尔多液。或使用美国杜邦易保800—1200倍液,每隔7—10天喷一次,共喷3—4次。发病后治疗:发现病叶后,可使用40%乙磷铝可湿性粉剂200—300倍液或25%瑞毒锰锌可湿...

3、葡萄霜霉病严重了用什么特效药

葡萄霜霉病严重时,推荐使用80%的烯酰吗啉作为特效治疗剂。这是目前最常用且最有效的药物,针对葡萄霜霉病具有显著的防治效果。烯酰吗啉的特点:烯酰吗啉是一种内吸性杀菌剂,具有保护和治疗双重作用。它能被植物迅速吸收,并在体内传导,有效抑制病原菌的生长和繁殖。使用方法:在使用时,应严格按照说...

葡萄霜霉病严重了用什么特效药

4、葡萄霜霉病防治方法

果穗套袋:有效防止病菌侵染。定期喷施杀菌剂:如波尔多液、铜高尚悬浮剂或嘧菌酯百菌清等,与乙磷铝、克露、百菌清等交替使用,防止产生抗药性。可掺入调节剂提高抗逆性和防治效果。植保措施与园内管理:避雨栽培:减少雨水对病菌的传播。合理控制栽植密度:新建果园每亩推荐111株,采用V形架结构;老果园需...

如何防治葡萄霜霉病?

精甲霜灵等。 规范防治:每10天左右使用一次杀菌剂,以保护性杀菌剂为主。喷洒药剂时要均匀、周到,特别注意叶片背面的喷洒。 重点防治:霜霉病发病初期,会形成发病中心,应重点防治。内吸性杀菌剂与保护性杀菌剂可混合或交替使用,以提高防治效果。喷洒药剂时,开花前、后要特别注意喷洒花序和果穗。

葡萄霜霉病的首选杀菌剂

常用品种:苯醚甲环唑、苯醚菌灵等。特点:能够快速有效地控制葡萄霜霉病。注意事项:使用时需要注意浓度和喷施时间等要点。吡唑酮类杀菌剂:常用品种:咪达唑、氟吡唑酮等。特点:较常用的防治药剂,可用于叶面喷雾或土壤处理。重要提示:无论采用何种杀菌剂,都应按照药剂说明书上的方法正确使用,并注意...

葡萄霜霉病的首选杀菌剂

1. 甲基硫菌灵:这是一种广谱杀菌剂,能够有效地控制葡萄霜霉病,并具有较好的渗透、吸收和持效性,可通过叶面喷雾或土壤施用等方式使用。2. 恩诺沙星:这是一种新型三唑酮类杀菌剂,能够有效地控制葡萄霜霉病,并具有良好的残留期,但价格相对较高,需要谨慎使用。3. 苯甲酸类杀菌剂:如苯醚甲...

葡萄霜霉病的首选杀菌剂

葡萄霜霉病是一种由真菌引起的常见病害,对葡萄生长和品质有重大影响。防治霜霉病通常需使用杀菌剂,如有机磷类、三唑酮类、苯甲酸类和吡唑酮类等。选择最佳杀菌剂时,应考虑地区、气候、病害程度和药剂成本等因素。以下杀菌剂被认为较有效:1. 甲基硫菌灵:这是一种广谱杀菌剂,能有效控制霜霉病...

葡萄树霜霉病特别严重用啥药最好

为了有效防治葡萄霜霉病,可以选用烯酰吗啉、银法利、霜霉威、噻唑菌胺、甲霜灵、辛菌胺酯等药剂。这些药剂能够有效杀灭病菌,减轻病情。然而,为了避免病菌产生抗药性,建议在使用过程中进行轮换使用不同的杀菌剂,这样可以延长药剂的效果,提高防治效果。在实际操作中,农民朋友们应该根据当地的气候条件和...

葡萄树怕什么农药

4. 代森锰锌:代森锰锌主要用于防治葡萄的霜霉病等病害。虽然效果较好,但过量使用可能导致叶片出现药斑,严重时会影响葡萄树的正常生长。5. 乙磷铝:乙磷铝主要用于防治葡萄的白粉病等病害。但长期使用可能导致葡萄树产生抗药性,且对树体有一定的伤害性。6. 百菌清:百菌清是一种广谱杀菌剂,对葡萄...

热点