葡萄拉穗期如何施氮肥呢?

奥普乐农业2025-11-21 22:3163 阅读28 赞

1、吹利红的茉莉香葡萄拉穗用肥吗

1. 使用吹利红的茉莉香葡萄拉穗时,建议使用高氮花无缺肥料,每株施用5公斤,配合肥波2公斤,以800倍液的形式进行滴施。2. 施肥周期为每5天一次,这样可以有效提高葡萄的结果率。

吹利红的茉莉香葡萄拉穗用肥吗

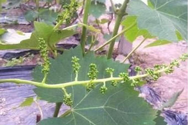
2、葡萄拉穗疏果方法 注意事项有哪些

2、花期浇水施肥可使部分果粒脱落,起到疏果作用。根据需要可在早花期、盛花期、盛花期后期、谷子粒期进行水肥施用,早花期果实早落早起;中间的果实盛开;盛花结束时,穗尖和副穗尖丧失。谷子期增施氮肥,可使谷子粒数增加。你想要耳朵的哪个部位,想要多少取决于你自己的需要。如果在开花前留下两个...

葡萄拉穗疏果方法 注意事项有哪些

3、红艳天葡萄怎样垃花穗?

具体方法:下肥时间通常选择在花前15天左右,用尿素+碧卡水溶肥淋施。存在问题:需要一定的实践经验,花前氮肥的使用本身存在一定风险,而且拉穗的方法随着各区域、地理,温度、光照、湿度、树势的不同,也会存在差异性,使用水肥拉穗时要求日均温度在20~25℃。药剂拉穗 主要特点:显效快、相对安全,受...

红艳天葡萄怎样垃花穗?

4、红提葡萄拉穗时期应注意那些

拉穗处理:待幼穗长度达8-10厘米时,及时用美国奇宝4.5-5万倍进行浸穗处理,严禁整树喷施、处理前先将副穗摘除,确保拉穗效果,这是栽培红提葡萄保证质量的一项必要措施,此方法省时省工疏花疏果效果好。拉穗对红提葡萄达到优质高效极为重要。拉穗不仅使果穗会变得修长均衡,也为颗粒的膨大增加了空...

红提葡萄拉穗时期应注意那些

葡萄拉穂太长卷怎么办

一、深施和浅施相配合 葡萄施肥根据肥料种类的不同,可采用深施或浅施的方式施入。化学肥料具有分解快,易吸收,同时也有易挥发的特点。生长期在距葡萄主蔓0.8-1米范围内开沟施放,然后覆土。农家肥在冬季树体休眠,结合翻园将肥料与表土混合撒施。改变沟施农家肥浓度大、分解慢,根系伸展受阻...

葡萄拉穗疏果方法注意事项有哪些

6. 葡萄摘穗和修剪需在关键时期进行。开花前修整穗耳较为容易,而开花后则需注意大小簇的区分和处理。7. 花期浇水施肥可自然疏果。根据植物生长阶段进行水肥管理,有助于果实的早期脱落和后期增施氮肥,以增加谷子粒数。8. 葡萄膨大期需要适宜的温差,以及开花后的40天关键生长时期。此期间,要经历雨天...

葡萄拉穗方法不对只能适得其反,应该如何正确拉穗?

13. 拉穗时,通常使用奇宝浓度为4万至5万倍,一般在花穗七至十公厘并分时使用,为了提高使用效果,用药后及时灌水并施用适量速效氮肥。14. 如果需要提高拉粒浓度,可以适当提高奇宝的浓度,一般配合吡效隆或噻苯隆混合使用,以促进纵向生长。15. 由于气温、阴晴天气和葡萄生长的差异,大面积使用药剂前...

葡萄拉穗方法不对只能适得其反,应该如何正确拉穗?

目前拉穗多数使用奇宝浓度为4万至5万倍,一般在花穗七至十公分时使用,为了提高使用效果用药后及时灌水并施用适量速效氮肥。拉粒浓度提高一倍,因奇宝的特性是纵向生长明显大于横向生长一般配合吡效隆或噻苯隆混合使用。因使用时气温不同阴晴天气不同和葡萄的生长差异不同,所以在大面积使用前应先做小面积...

种植课堂:醉金香葡萄如何拉穗?

金星无核葡萄:需100毫克/升赤霉酸拉穗。二、水肥控制拉穗原理:通过调节水分和养分供应,促进花穗自然分离。操作要点:时期:花穗分离初期(开花前15天左右)。水肥管理:浇水增加园地湿度,结合高氮肥料与腐植酸、黄腐酸、氨基酸等肥料施用。需满足条件:平均日温20~25℃,连续晴天,树势旺盛。三、...

热点