葡萄需补硼肥吗为什么不能施肥?

奥普乐农业2025-09-22 03:4579 阅读14 赞

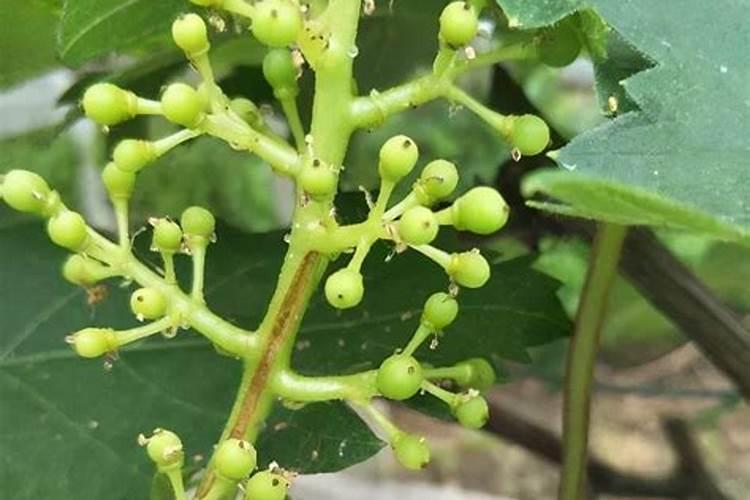
1、在葡萄开花的这个时期,浇水施硼肥可不可以呢

在葡萄开花时期,可以浇水和施硼肥,但需要注意方式方法。葡萄花期对水分较为敏感,适度浇水很关键。花期浇水要浇小水,避免大水漫灌,因为过多水分会造成土壤湿度过大,导致花粉不易传播,影响授粉受精,还可能引起枝条徒长,与花争夺养分。一般保持土壤微微湿润即可满足其生长需求。硼肥对葡萄花期至关重要。硼元素能

在葡萄开花的这个时期,浇水施硼肥可不可以呢

2、葡萄补硼的最佳时期

葡萄补硼的最佳时期是开花之前,因为开花之前施加这种肥料能够促进形成花器官,提高花芽的分化能力,有助于受精授粉,提高坐果率 。如果硼肥与钙肥一起使用,那么它的保花保果效果会大大提升。硼肥的使用量直接关系着果实的多少与大小,也就是与葡萄的产量和品质都有关系,所以一定要根据葡萄生长状况适时施...

3、葡萄补硼的最佳时期,补硼过度会有什么影响

1、最佳时期:施加基肥时,将硼肥与各种微量元素混合一起施入,另外在花序刚刚开始展开时叶面喷施一次硼肥,并在7-10天过后喷施第二次硼肥。2、施肥量:基肥,每株葡萄施加50g的硼砂或硼酸,叶面追肥时,每次叶面喷施0.1-0.3%的硼砂或硼酸溶液。一、葡萄补硼的最佳时期 1、补硼的最佳时期 葡萄在种植...

对于处于开花期的葡萄,浇水并施硼肥合适吗

对于处于开花期的葡萄,适量浇水并合理施硼肥是合适的。开花期的葡萄对水分较为敏感,此时适量浇水能满足其生长需求,维持植株生理活动的正常进行,保证花朵的正常发育和授粉受精过程。不过,浇水不宜过多,以免造成土壤积水,导致根系缺氧,影响植株生长,甚至引起落花现象。硼肥对于葡萄开花期也很重要。硼元素...

葡萄处于开花期的时候能不能浇水并施加硼肥呢

葡萄开花期可以浇水和施加硼肥,但都需要合理进行。浇水方面,葡萄开花期对水分较为敏感。适度浇水很有必要,因为此时植株生长旺盛,需水量较大,保持土壤一定的湿度,有助于花朵正常发育和授粉受精。但浇水不宜过多,若土壤积水,会导致根系缺氧,影响植株生长,还可能引起落花现象。一般在开花前浇一次透水...

对于开花期的葡萄,进行浇水和施硼肥是否恰当

开花期的葡萄,浇水和施硼肥是恰当的,但都需注意方式和用量。开花期适量浇水很关键。花期对水分较为敏感,适度浇水能保证葡萄植株的水分需求,维持生理活动正常进行,利于花朵的正常开放和授粉受精。不过,浇水不宜过多,以免土壤湿度过大,导致根系缺氧,影响植株生长,还可能引发灰霉病等病害。通常保持...

葡萄开花前施什么肥葡萄开花前怎么施肥

硼肥:可通过叶面喷洒的方式施加,有助于促进葡萄花朵的健康开放。高磷肥料:如磷酸二氢钾或磷肥含量高的复合肥,磷元素对葡萄开花有显著的促进作用。施肥时间:应在葡萄快开花一周之前进行施肥,以确保肥料能被葡萄植株充分吸收利用。注意事项:在开花期间,应避免施加含氮量高的肥料,以免导致落花现象。

葡萄开花后施什么肥葡萄开花后怎么施肥

葡萄开花后应主要施加硼肥和高磷肥,花败后也要适当施肥以补充营养。具体来说:硼肥的施加:在开花前的一周左右,应在叶面喷施一次硼肥。硼肥对葡萄的花器官发育有重要作用,可以提高花朵的健康程度,进而提高坐果率。高磷肥的施加:同样在开花前,除了硼肥外,还要施加高磷肥。高磷肥有助于葡萄开花,保证...

葡萄补硼的最佳时期

葡萄补硼的最佳时期有两个:施加基肥时:在施加基肥时,将硼肥与各种微量元素混合一起施入。此时补充硼肥可以为葡萄的整个生长周期提供稳定的硼元素来源。花序展开时:在花序刚刚开始展开,枝条长度约为6080cm左右的时候,叶面喷施一次硼肥,并在第一次喷施后的710天左右喷施第二次硼肥。这样可以确保葡萄在...

葡萄小苗用什么肥长得快

葡萄小苗正处于生长期,根系尚不发达,需要施用促进根部生长的硼肥。施用硼肥不仅对根部有好处,还可以加快葡萄小苗光合作用的速率,建议施肥比例氮肥与硼肥的比例在5:2左右。3、水溶肥 水溶肥中的营养元素以离子形式存在,十分利于植物的快速吸收,即使是葡萄小苗这种幼苗状态的植物也可以快速吸收,并迅速...

热点