缺氮磷钾肥分别有什么作用和危害?

奥普乐农业2025-11-20 02:5290 阅读30 赞

1、缺少氮磷钾肥分别有什么现象

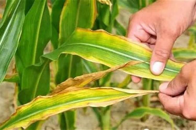
三、缺钾肥现象 钾增强抗病虫害及抗倒伏能力。缺钾时叶缘焦枯卷曲(如棉花“焦边叶”),老叶出现褐色斑点,果实口感差。香蕉缺钾导致果指短小;马铃薯块茎出现黑斑。草木灰、硫酸钾适合作为追肥补充钾元素。

缺少氮磷钾肥分别有什么现象

2、钾肥磷肥氮肥分别有什么作用

促进茎叶生长,增强光合作用。缺氮时叶片发黄、植株矮小,例如水稻分蘖期需大量氮肥。常用氮肥包括尿素、碳酸氢铵,但过量使用易导致徒长、抗倒伏能力下降。二、磷肥作用 磷参与能量转化与遗传物质合成。促进根系发育,提早开花结果。缺磷表现为叶片暗绿带紫、花期延迟,如油菜花期前需追施过磷酸钙。磷肥移...

钾肥磷肥氮肥分别有什么作用

3、氮磷钾对植物的根茎叶分别有什么影响?

氮肥,主要促进植株生长迅速,株叶繁茂,叶片宽大,对叶片的生长作用明显。磷肥,主要是促进花色鲜艳,果实饱满,结实率高,花期早。对花和果实的作用明显。钾肥,有增加叶片刚性,促进根系生长健壮作用对根系的作用明显。 氮、磷、钾三要素是君子兰植株体所必需的营养元素,并各有独特的作用,不能互相替代...

氮磷钾对植物的根茎叶分别有什么影响?

4、缺少氮磷钾肥分别有什么现象

(3)如果严重缺磷,叶片就会枯死脱落,影响作物的产量和品质。3、缺钾 (1)作物缺钾时会使叶片呈现蓝绿色,老叶会发黄,叶尖出现黄化、焦枯的现象。(2)缺钾严重时叶片会出现白斑、枯死、皱缩,组织坏死、株型异常等现象,生长发育也会延迟或提前。二、氮磷钾肥怎么使用 1、对于高产作物而言,可以将...

缺少氮磷钾肥分别有什么现象

5、庄稼缺少氮、磷、钾各有哪些症状?

钾的充足供应有助于促进光合作用,增强植物对氮、磷的吸收,有利于蛋白质的形成,使茎叶茁壮,枝杆木质化、粗壮,不易倒伏,增强抗病和耐寒能力。缺钾时,植物体内代谢易失调,光合作用显著下降,茎杆细瘦,根系生长受抑制。最先受影响的是叶片尖端和边缘变黄直至枯死,严重时导致大部分叶片枯黄。

缺少氮磷钾肥分别有什么现象

缺少氮磷钾肥分别有以下现象:缺氮:地上部受影响:缺氮时,植株地上部分的生长会受到明显抑制。叶片失绿:症状从老叶开始,逐渐扩展到上部叶片,下部叶片出现均匀失绿现象。叶子淡黄脱落:在严重缺氮的情况下,叶子会变淡黄,并提前脱落,导致作物果实变小,影响产量和品质。缺磷:生长缓慢:作物缺磷...

氮磷钾肥的作用非别是什么

氮肥、磷肥和钾肥的作用分别如下:氮肥的作用:促进植物生长:氮是构成植物体内蛋白质、核酸和叶绿素的重要元素,对植物的生长具有显著的促进作用。缺氮时,植物生长缓慢,植株矮小,叶片薄而小,叶色发黄。增大叶面积:氮素的充足供应可以增加植物的叶面积,从而提高植物的光合作用效率,为植物提供更多的能量...

氮磷钾肥分别有什么作用 有哪些功效

氮肥: 主要作用:促进植物茎叶的生长,使叶片更加茂盛。 功效:增加叶绿素含量,提高光合作用效率。 注意事项:过量施用会导致植物组织柔软,茎叶徒长,易受病虫害侵害,降低耐寒能力;过少则会导致植株矮小,叶片发黄,生长缓慢。磷肥: 主要作用:促进植物茎枝坚韧,有助于花芽的形成和开花,加速果实成熟...

氮肥磷肥钾肥的作用记忆口诀

缺磷表现为根系短小、叶片暗绿带紫斑。3. 钾肥:抗逆增质的“全能卫士” 含钾元素(K),强化植物茎秆强度,提升抗旱、抗寒、抗病虫害能力。水稻孕穗期补钾可减少倒伏,柑橘类果实转色期施用能增加甜度。缺钾时老叶边缘焦枯,果实易腐烂。口诀扩展记忆法可关联作物生长阶段:播种时想“氮肥发力”、...

热点