葡萄花施硼肥方法有哪些?

奥普乐农业2025-11-26 19:1415 阅读25 赞

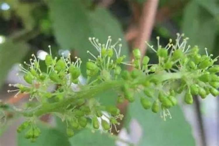
一、葡萄花前几天喷硼肥

硼能促进花粉粒的萌发、授粉受精和子房的发育,缺硼会使花粉分化、花粉发育和萌发受到抑制。在花前向叶面喷施硼砂溶液,可有效提高坐果率,减少落花落果。一般在花前7天左右喷施0.2%~0.3%硼砂溶液1~2次。在秋季叶面喷硼效果更佳:一是可增加芽中硼元素含量,有利于消除早春缺硼症状;二是此时叶片耐性较强,可以适当增加喷施浓度而不易发生药害。

葡萄花前几天喷硼肥

二、红提葡萄花前施肥灌水关键技术

4. 施肥方法: 未安装滴管的葡萄园:每亩地可施用普通复合肥50至70千克,并叶面喷施高浓度硼肥2次。 安装了滴管的葡萄园:每亩地可施用德国狮马牌高档进口水溶性复合肥5至6千克,并叶面喷施高浓度硼肥2次。叶面喷施硼肥有助于提高葡萄的开花质量和坐果率。以上技术要点旨在确保红提葡萄在花前获得充足的...

红提葡萄花前施肥灌水关键技术

三、葡萄花期用什么肥料 从而提高植株的坐果率

葡萄花期为提高植株坐果率,建议施用硼肥和磷肥。硼肥:硼是植物必需的微量元素之一,对葡萄的花器官发育至关重要。在葡萄花期施用硼肥,可以有效促进花粉管的伸长和萌发,提高受精率,从而增加坐果率。硼肥的施用方式可以是叶面喷施或根部追施,具体用量需根据葡萄品种、生长状况及土壤硼含量等因素综合考虑。

四、葡萄花期用什么肥做果做得好

2. 葡萄花前4天,可以考虑使用叶面喷施的方法施用硼肥,例如0.2%的硼砂或含有耐历体硼的液体肥料,这有助于促进花期的植物生长和果实的形成。3. 如果土壤中磷和钾的含量较低,可以在花期适当补充这两种肥料。磷和钾是植物生长所必需的主要营养元素,适当的补充有助于提高葡萄的产量和品质。

葡萄花期用什么肥做果做得好

五、巨峰葡萄喷施什么叶面肥能提高坐果率?

在巨峰葡萄花前向叶面喷施硼砂溶液可有效提高坐果率,减少落花落果。一般在花前7天左右喷施0.2%~0.3%硼砂溶液1~2次;花前喷些微量元素水溶肥,也能提高坐果率.生长季节叶面喷施钾肥能够显著改善葡萄叶片的光合性能和果实品质。花期喷施硼肥增加红地球等葡萄的坐果率,增加产量。氨基酸叶面肥在果树上的推广...

葡萄开花前和花后都打什么药?

套袋前的用药也是防治重点,这个根据具体情况进行调整用药(用药后3天套袋),并且注意使用叶面火爆农资招商网肥;这个时期一般是对钙的补充比较重要,可以使用糖醇钙补充葡萄膨大的缺钙问题,对于整个后期的管理,主要根据具体情况来确定用药方案,同时在整个生产周期注意交替用药,防止产生耐药性。

葡萄落花落果原因

防治方法 ①对落花落果严重的品种如玫瑰香、巨峰等可在花前3~5天摘心,以控制营养生长,促进生殖生长。②对生长势过旺的品种要注意轻剪长放,削弱营养生长,缓和树势。③花前和花后必须进行追肥和灌溉,多施磷钾肥,控制氮肥施用。④开花前喷B9或矮壮素等生长调节剂,可抑制营养生长,改善花期营养状况。⑤花前喷0.0...

我家葡萄花出来不饱满,很小个,是什么原因造成的,有什么办法可以补救...

施一些磷肥,钾肥。叶面喷施硼肥

果蔬为什么要补硼补钙?什么时候补?

叶面肥喷施补钙,可以直接将易于吸收的钙肥喷施到葡萄花与幼果幼叶上,通过皮孔吸收利用,效率还是挺高的。当然叶面选钙肥一定要用高活性的钙肥,这样解决了钙移动慢的问题 二、喷施钙肥一定要同时喷施硼肥 硼肥是对果实的生长发育期关键作用,可促花芽分化,提高果实座果率与结果率。硼还有个更显著的作用...

热点