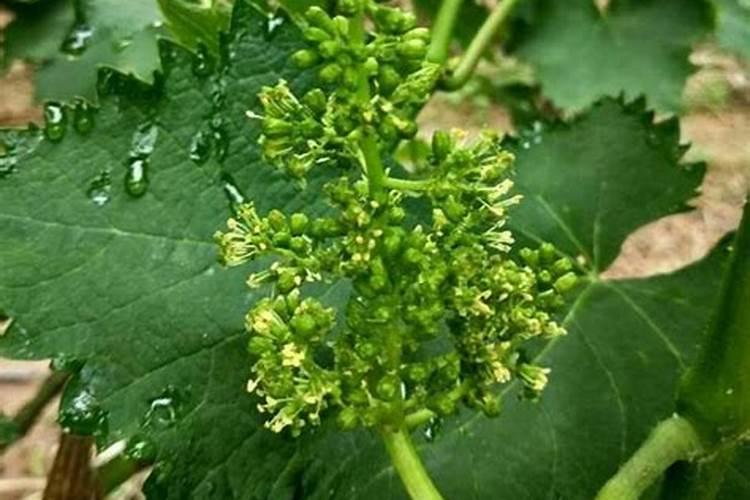
葡萄开花的时候可以施肥吗?

奥普乐农业2025-09-12 23:3381 阅读1 赞

1、葡萄开花期可以施肥吗

葡萄在开花期是可以施肥的。作为需肥量较大的果树之一,葡萄的合理施肥对其生长发育至关重要,这为丰产和优质果实打下了物质基础。以下是葡萄的常规施肥技术:1. 施肥原则 根据葡萄的生长规律和需肥特性,结合土壤测试结果,进行合理平衡施肥或配方施肥。施肥应以有机肥为主,适量配合化学肥料。确保满足葡萄对氮、磷、钾

葡萄开花期可以施肥吗

2、葡萄花期为什么不让浇水,开花的时候施什么肥

葡萄花期不建议浇水的主要原因是,浇水会降低土壤温度,从而影响葡萄植株的吸收能力,导致开花坐果率下降。此外,浇水过多还会造成土壤湿度过大,新梢生长过旺,对葡萄受精和坐果不利,可能出现大量落花落果现象,影响产量。至于施肥,葡萄在开花期间消耗的养分较多,因此需要及时补充肥料。一般来说,可以在开花...

3、葡萄开花其间可以施肥吗

1. 葡萄开花期间,施肥应以高磷肥料为主,同时配合施用微量元素肥料,以促进花期营养的充足供应。2. 在此期间,要特别注意防治葡萄可能出现的白粉病、灰霉病、穗轴褐枯病和蓟马等病虫害。3. 灰霉病通常在通风不良、气温低、湿度大的环境中,以及葡萄枝蔓生长势较弱时发生。为了预防灰霉病,可以使用福...

请问葡萄在开花期间的管理及施肥

葡萄在开花期间的管理及施肥十分重要。首次施肥应在葡萄萌芽前进行,适量添加磷钾复合肥,特别是丰产树应多施。后期则应以磷钾肥为主。此阶段主要以腐熟的人粪尿为主进行施肥。第二次施肥应在开花前进行,主要使用尿素,同时适当增加磷钾肥的比例,以利于生产高档无公害果品。第三次施肥则应在幼果生长期...

葡萄花期为什么不让浇水,开花的时候施什么肥

建议在开花前一周左右叶面喷施硼肥和高磷肥,有助于花朵健康和花器官发育,提高坐果成功率。3. 开花后,施镇老肥补充果实生长所需的养分,同时注意温度管理,保持适宜的白天温度28度左右和夜晚温度16-18度。4. 对于大念段棚葡萄,确保良好通风,保持空气流通,为葡萄提供理想的生长环境。

葡萄花期为什么不让浇水,开花的时候施什么肥

不过若是土壤的湿度较低,低于50%,也要进行补水。此时要浇灌小水,可用滴灌法,让水分慢慢往里渗透,只要根部周围稍微湿润就行,切不可大水浇灌。二、开花的时候施什么肥 它在开花期间消耗的养分比较多,要及时施肥补充。开花前的一周左右要在叶面喷施一次硼肥,同时还要施加高磷肥,促使开花,这样花朵...

葡萄开花时施什么肥

葡萄的花期是不建议施肥的,因为此时施肥可能会对花朵造成不良影响,导致授粉不良或落花落果。正确的施肥时机是在花期之前,即花芽分化期至开花前这段时间,这样可以为葡萄提供充足的养分,促进花芽分化和开花质量。肥料种类:在花前施肥时,可以选择人畜粪水等有机肥料,这些肥料含有丰富的营养元素,可以满足...

葡萄开花时为什么不浇水开花时应该施什么肥?

二、葡萄花期的施肥应以高磷肥和硼肥为主。在开花前一周左右,可叶面喷施硼肥,同时施用高磷肥,以促进花期健康,提高花器官发育和坐果率。花期后,果实生长需要大量营养,应及时施肥补充,以促进果实的良好生长。三、葡萄花期的管理还包括适宜的温度控制。花期最适宜的温度为白天28度,夜间16至18度。同时...

红提葡萄正开花能施肥浇水吗

2. 开花期并不需要特别施用硼肥,而是应该使用硼锌喷施叶面,以促进坐果。3. 同时,根部应使用高磷水溶肥,这不仅能促进坐果,还能促进葡萄明年春天的花芽分化。4. 在开花期间,要注意防治多种病虫害,如蓟马、白粉病、灰霉病、炭疽病、穗轴枯病、霜霉病和白腐病等。5. 防治时可使用农药混合剂,如...

葡萄开花期可以施肥吗

葡萄开花期可以施肥,葡萄是果树类需肥量最大的树种之一,施肥量满足葡萄生育期要求,可为丰产果优打好物质基础。葡萄常规施肥技术如下:(一)原则 按照葡萄生长发育规律和需肥特性,根据土壤测试结果,合理平衡施肥或配方施肥。以有机肥为主,适量配施化学肥料。充分满足葡萄对氮、磷、钾、钙、铁、锌...

热点