葡萄花前需要补充钙肥吗为什么?

奥普乐农业2025-10-04 16:1314 阅读18 赞

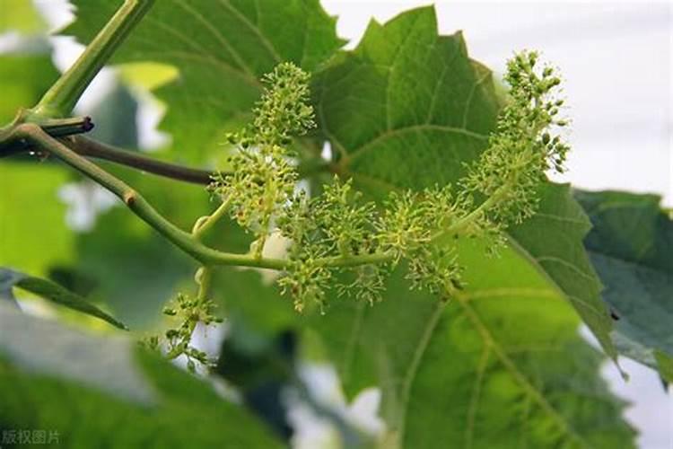
1、葡萄开花前施什么肥料最好

4. 在葡萄生长早期,应补充锌元素,以促进植物正常生长,防止植株矮小等问题。5. 葡萄叶片的展开是补充钙肥的信号。钙肥在葡萄生长过程中有三个累积高峰期,果农通常在落花后20-30天开始施用,果实膨大期和采果前20-30天左右再次施用。由于钙元素移动速度较慢,果农常与硼肥配合使用,以加速钙的输送。6. 开花前应补充

葡萄开花前施什么肥料最好

2、蓝宝石葡萄防止裂果的方法

花前花后补充钙肥 钙是增强果皮韧性的关键元素。在蓝宝石葡萄的花前和花后阶段,通过叶面喷施等方式补充钙肥,可以有效提高果皮的韧性,从而增强果实抵抗外界压力和防止裂果的能力。保持土壤湿度稳定 土壤湿度的剧烈变化也是导致蓝宝石葡萄裂果的重要原因之一。因此,在管理过程中,应保持土壤湿度的稳定,避免...

3、葡萄开花期能不能施肥和浇水呢?葡萄开花前施什么肥比较好呢?

1. 葡萄开花前,建议施用含氮肥料的促芽肥。当葡萄芽苞开始膨大时,应施以高氮的复合肥或单独使用尿素,并配合浇水,以促进芽的生长和快速延伸。2. 注意补充锌元素。锌是植物生长所必需的元素,特别是在葡萄生长的关键时期。缺锌会导致植物生长缓慢,植株矮小。因此,在这个时期补充锌是非常关键的,可...

葡萄开花期能不能施肥和浇水呢?葡萄开花前施什么肥比较好呢?

4、葡萄种植需要什么肥料

葡萄生长前期对氮肥需求较大,能促进枝叶生长。在花期前后,磷肥很关键,有助于花芽分化和开花坐果。钾肥在整个生长周期都重要,能增强果实品质和植株抗性。除了氮磷钾大量元素肥,还需要适量补充钙、镁、硼等中微量元素肥。钙可提高果实硬度和耐贮性,镁参与光合作用,硼能促进花粉萌发和受精。基肥一般在...

葡萄种植需要什么肥料

钙肥是具有钙标明量的肥料,钙肥对葡萄花芽分化有什么作用?

种植葡萄是需要吃一些钙肥的,就能够让葡萄的抗病能力增强,而且很多钙含量是存在在葡萄的叶子当中,而且植物体内存在比较少根须,中也有较多的钙含量。一颗葡萄植株的成熟过程中就需要吸收一些氮肥,所以注意土壤中补充适量的钙肥,或者是在葡萄叶子的表面喷洒一些钙肥。当葡萄出现缺钙的时候,会发现根部就会...

夏黑葡萄开花前期施啥肥最好

如果是想促花促果的话,可在开花前3天根部追施速效磷肥,以达到促进花芽分化的目的。结果之后可每株追施速效高钾冲施肥70g,以促进果实膨大。除了根部施肥外,还可叶面喷施磷酸二氢钾、钙肥等来达到辅助促进果实膨大、着色、增甜的目的,并且有效提高产量。

葡萄补钙最佳的时期是什么时候?要如何进行补钙?

可以发现施肥的时候也是需要具体的时间的在花前施加一次钙肥会有很好的基础,当花落之后开始,结果这个时候必须要吃钙肥,而且在落花之后的7~10天这个时间段是比较好的,因为葡萄在幼果期从而变成膨大期,最后成熟期三个时期比较重要,选择合适的钙肥葡萄就会长得越大越好。

种植葡萄在哪些阶段补钙最重要?都有哪些注意事项?

萌芽期到坐果期,坐果期到硬果期,硬果期到着色期;其中花开前后补钙最佳,施肥时,基肥补钙与叶面补钙结合施用,在葡萄花前后补钙,能提高葡萄抗病性,增强细胞强度,减轻日灼和裂果等生理性病害,对提高品质至关重要;要注意,在补钙时,应当按照少量多次、土施为基础和叶面喷施为补充的原则进行。

葡萄补钙最佳时间(给葡萄补钙季节什么钙肥最好)

葡萄补钙的最佳时间是葡萄的整个生长期,特别是萌芽前、花后两周和膨果前,钙肥以有机螯合钙为佳。一、最佳补钙时期 萌芽前:此时补钙可以为葡萄的初期生长提供必要的钙元素,有助于增强细胞壁的韧性,为后续的生长打下良好基础。花后两周:花后是葡萄果实开始形成的关键时期,此时补钙可以有效提高果实...

热点