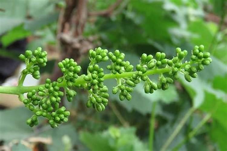
葡萄开花前钾肥多了怎么办呢?

奥普乐农业2025-11-19 08:0758 阅读8 赞

一、磷酸二氢钾用多了会对葡萄有影响吗?是根施还昰喷施,可以和农药混合使用...

幼果膨大期亩施尿素10~11千克、硫酸钾4~6千克。 根外迫肥开花前喷0.2%~0.5%的硼砂溶液能提高坐果率。坐果期与果实生长期喷3~4次0.3%~0.4%(每100公斤的水和300~400克的磷酸二氢钾)的98%磷酸二氢钾,有提高产量、增进品质的效果。对缺铁失绿葡萄,重复喷施硫酸亚铁和柠檬酸铁、尿素铁等均有良好效果。当植株移栽根系尚未...

磷酸二氢钾用多了会对葡萄有影响吗?是根施还昰喷施,可以和农药混合使用...

二、葡萄开花前能施肥吗

1. 催芽肥:这一施肥阶段发生在早春葡萄出土前后。主要目的是促进葡萄发芽,应以氮肥和钾肥为主。每亩地可施用50公斤尿素,如果冬前未施用钾镁肥,此时应补充100公斤钾镁肥。2. 催条肥:此阶段专为生长较弱的葡萄树园设计。在大约4月下旬,如果大部分葡萄枝蔓长度未达到2尺以上,建议每亩再追加25公...

葡萄开花前能施肥吗

三、葡萄花前用什么肥 葡萄生长需要施加什么肥料

磷钾肥:可以喷施磷酸二氢钾溶液,或者施加磷钾肥元素比例高的复合肥。施肥原则:需要掌握薄肥勤施的原则,使用前用清水稀释肥料,避免施加浓肥或过量肥料导致肥害。减少氮肥:开花前减少氮肥的用量,以免对开花结果产生不利影响。葡萄生长过程中,不同时期需要施加不同类型的肥料:硼元素肥料:葡萄生长需...

葡萄施肥最佳时间

此时增施磷钾肥(比例为1:1.5),每亩用平衡肥(15-15-15)10公斤加硼砂1公斤,提升坐果率。南方多雨区域建议叶面喷施0.3%磷酸二氢钾溶液,避免根系积水影响吸收。③果实膨大期(壮果肥) 生理落果结束后(通常开花后20天),北方在6月底至7月初,南方在5月下旬。此阶段需高钾配方(...

葡萄坐果后用着钾肥怎么办

追肥重点在开花期和花后,葡萄追肥一般在萌芽前、开花后、膨果和着色期进行,在平衡施肥条件下,开花期可进行一次以氮为主的追肥,花后追肥以钾肥为主。这两次追肥量占总量的20%,以补充基肥的不足,确保葡萄生长所需的养分。叶面施肥在葡萄生长发育关键期尤为重要,具有肥效迅速、肥料利用率高、用量...

开花前葡萄要怎么浇水

1. 根际施肥:在这一时期应施用两次关键肥料。第一次是催条肥,在萌芽后大约20天施入,以氮肥为主,同时配合施用磷钾肥。第二次是催果肥,在坐果稳定后施入,宜选择复合肥加钾肥。2. 根外追肥:在花前大约10至15天,每隔5天喷施一次0.2%的硼砂,总共喷施两次。硼砂也可以与农药、尿素等混合...

葡萄开花前后怎样管理

葡萄开花前后的管理至关重要,关乎着葡萄的产量和品质,需要从多个方面进行精细操作。1. 施肥管理:开花前,应追施适量的硼肥和锌肥,以促进花粉管的伸长和提高坐果率;花后则增施磷钾肥,增强树势。2. 水分管理:开花前要保持土壤湿润,但避免积水;花期尽量不浇水,防止花朵掉落;花后根据土壤墒情适当...

葡萄开花期施什么肥

一、开花期管理 避免施肥:葡萄开花期是其生殖生长的关键时期,此时施肥可能会对花朵造成不良影响,干扰正常的授粉和受精过程,因此应严格避免在开花期施肥。二、花前施肥 施三元肥:在花芽分化至开花前,葡萄需要充足的养分来支持其生长和发育。此时可以施用三元肥(氮磷钾肥),以满足葡萄对氮、磷、钾...

葡萄要开花了,打什么药让它少落花

2. 对于生长过于旺盛的品种,应适当进行轻剪长放,以减弱营养生长,从而达到缓和树势的目的。3. 在花期前后,追施肥料和进行灌溉是必要的。此时应多施用磷钾肥,并适当控制氮肥的施用量。4. 为了抑制营养生长,改善花期的营养状况,可以在开花前喷施B9或矮壮素等生长调节剂。5. 另外,开花前喷洒0....

热点