枸杞生长需要补充钙肥吗为什么呢?

奥普乐农业2025-11-21 10:23100 阅读6 赞

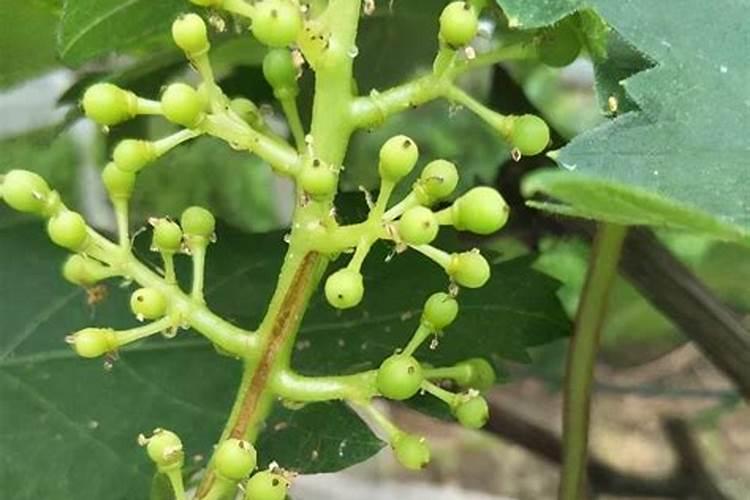
1、枸杞盆景施什么肥好

花期和果期就需要使用钾肥、磷肥和钙肥,促进其花芽分化和果实发育。 生长期补充氮肥,让枝干生长旺盛 生长期一般是在2-4月份,特别是枸杞在春季发芽很快,盆栽的土壤矿物质元素有限,如果缺少营养,就会出现枝干枯焦、倒伏及萌芽率低,影响到后期的观赏和果实的发育,严重的就会掉叶、叶尖枯萎等等。 施肥

2、枸杞发生病虫害都有哪些特点?要如何预防及防治?

枸杞是一种营养价值比较高的食材,虽然果实比较小,但是在生长的过程中容易出现病虫害,常见的病虫害比较多,需要及时预防,才不会影响枸杞的质量。枸杞在生长的过程中容易出现果子变黑,这是病虫害的一种,一般在果实是青色的时候就会长一些褐斑或者是小黑点,如果不及时防治,最后整颗果实都会变成黑色...

枸杞发生病虫害都有哪些特点?要如何预防及防治?

3、枸杞树的病虫害怎么防治,都有哪些方法

枸杞新梢长出时,常发生像金花虫样的甲虫为害,咬食新叶并拉虫屎,严重影响大叶枸杞的生长,春季宜在枸杞刚萌芽时,即喷洒杀虫药,隔10天喷1次,连续喷3~4次,严防害虫在芽梢上产卵。

4、叶用枸杞的病虫害,该怎么防治?

预防方式:提升栽培技术,追施磷、钙肥,提高主茎抗病能力。进到6月逐渐喷撒80%代森锰锌可湿性粉剂,防止病害产生。发病前期,喷洒宇农一号、润欢(25%吡唑醚菌酯悬)、80%多·福美·福锌,10~15d喷一次,连喷3~4次。三、根腐病 特性:枸杞根腐病是一种普遍的土传真菌性病害,在发病的情况下...

叶用枸杞的病虫害,该怎么防治?

5、种在阳台的盆里有一次你拿了200碗里装不下这样省钱!

4.不要施钙肥。蓝莓不喜欢肥料。当它们刚买回来放在锅里的时候,直接在土里加入一些腐熟的鸡粪就可以了。之后尽量少施化肥,尤其是鸡蛋壳、骨粉等钙肥。千万不要用!5.蓝莓结果很多。每次拿在碗里都快拿不住了!阳台种枸杞,养生又健康!在花花身边,越来越多的朋友开始喝枸杞养生。毕竟现在的枸杞真...

枸杞常见病虫害有哪些,枸杞病虫害防治

枸杞生长发育过程中有很多种病虫害发生,对枸杞产量和品质产生了较大的影响。因此,在生产过程中要加强对病虫害的防治。本文为大家介绍了枸杞常见病虫害的症状、发生规律及防治方法:1枸杞炭疽病枸杞炭疽病又称黑果病,病株率在15%~20%,严重时高达70%,属真菌性病害,是枸杞生产中的主要病害。1.1...

海棠花苖可以放鸡蛋壳吗?

可以把鸡蛋盒放在海棠花苗里的。鸡蛋壳的主要成分是碳酸钙,这个有助于他补充钙肥。同时残留的蛋清也可以补充一些氮肥营养。在养观叶植物的时候,是可以把鸡蛋壳放土中的。鸡蛋壳里面有着很丰富的钙质,以及一下儿微量元素,对于植物生长是有好处的。但是不能把整个鸡蛋壳放进土里,应该先将它洗干净...

热点